Филлокладус (Phyllocladus) - очень своеобразный род. Он назван так потому, что зелеными (ассимилирующими) листьями у него являются не листья, а филлокладии. Филлокладии (от греческих слов phyllon - лист и klados – побег, т.е. «листопобеги») – это видоизменённые побеги растений, у которых стебли приобретают плоскую листовидную форму и выполняют функцию фотосинтеза, а листья редуцированы до чешуек, расположенных по краям или на поверхности филлокладия. В пазухах этих чешуевидных листьев могут развиваться, например, соцветия или одиночные цветки. По-английски род называется «Celery top pine», что переводится примерно как «сосна с сельдерейными кончиками». Действительно, похоже.
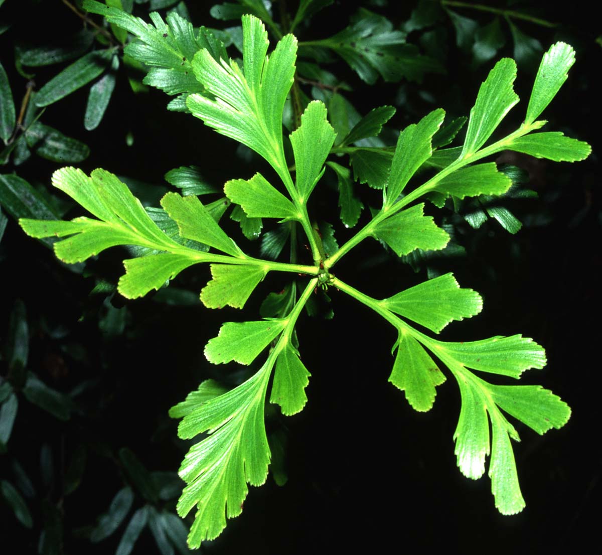
Вот они – филлокладии. Это новозеландский Phyllocladus trichomanoides. Его филлокладии похожи на сложный лист с плоской главной жилкой. Каждый из листочков имеет индивидуальную неповторимую форму (ссылка на источник фотографии)
Семейство подокарповых состоит из двух филогенетических ветвей. К одной относится подокарпус, дакридиум и другие процветающие роды, к другой - филлокладус и несколько других небольших и не широко распространенных родов. Разделение двух этих ветвей произошло примерно 160-170 млн. лет назад, т.е. еще в мезозое (Biffin, Ed, Timothy J. Brodribb, Robert S. Hill, Philip Thomas and Andrew J. Lowe. 2011.06.08. Leaf evolution in Southern Hemisphere conifers tracks the angiosperm ecological radiation. Proceedings of the Royal Society B). В прошлом были попытки из-за морфологического своеобразия выделить род в отдельное семейство. Эта идея не наша подтверждения в современных молекулярно-биологических исследованиях. В роде филлокладус всего 5 видов. Они распространены, главным образом, в субтропиках. Некоторые виды поднимаются довольно высоко в горы.
Ареал рода филлокладус состоит из двух частей: южная включает Новую Зеландию, где сосредоточено большинство видов и остров Тасмания с одним видом; северная же его часть – это острова Юго-Восточной Азии, где единственный вид - филлокладус подлистный (P. hypophyllus) встречается на высотах от 900 до 4000 м (ссылка на источник фотографии)
Виды этого рода - вечнозеленые древесные растения. Среди них есть как небольшие (до 1,5 м) кустовидные деревца, так большие (до 30 м) лесные деревья.

Phyllocladus aspleniifolius с о. Тасмания, довольно высокое (до 30 м) дерево, основной компонент местных лесов неморального типа (ссылка на источник фотографии)
Самой интересной, поражающей воображение чертой видов этого рода является совершенно необычный для хвойных характер их ассимилирующих органов. Филлокладии филлокладусов по своему происхождению являются короткими боковыми веточками стебля (брахибластами), принявшими на себя функцию фотосинтеза и, в связи с этим видоизменившимися до полного внешнего сходства с настоящим листом, этим идеальным фотосинтезирующим органом высших растений. Зрелые филлокладии напоминают листья и по внутреннему строению. У них хорошо выражены верхняя и нижняя эпидерма с толстой кутикулой, на обеих сторонах или только на нижней расположены устьица, имеется хлоренхима, более или менее дифференцированная на палисадную и губчатую ткань. Филлокладии встречаются у самых разнообразных различных семейств, распространённых главным образом в засушливых местностях. Филлокладусы – одно из немногих исключений из этого правила: они как раз живут исключительно во влажном климате.
Филлокладус асплениелистный (P. aspleniifolius) с «листьями», действительно очень похожими на листовые сегменты папоротников из рода асплениум. Но это не листья. Это листоподобные выросты стебля (ссылка на источник фотографии)
Для филлокладусов характерны побеги двух типов. Длинные побеги (ауксибласты) несут в спиральном расположении малозаметные незеленые чешуевидные листья. В их пазухах на верхушках ауксибластов образуются мутовки филлокладиев. По размерам они разные у разных видов: длиной от 1,5 до 12 см и шириной от 2 до 4 см.
Phyllocladus aspleniifolius. Ауксибласт с брахибластами (филлокладиями) и микростробилами (ссылка на источник фотографии)
Эффектный вид побегов филлокладусов дополняется контрастно яркой окраской их зрелых мелких шишек. Шишки шаровидные или яйцевидные, длиной 6-15 мм, мясистые, а по цвету то красные, то пурпурные (реже зеленые). Семена (их в шишке 1-3, редко 10-20) мелкие, длиной 2,5-3 см, черные или коричневые, одетые то у основания, то почти до верхушки белым эпиматием. Совершенно поразительно расположение шишек, когда они вырастают не на верхушках коротких боковых веточек, как у части видов, а на кончиках филлокладиев.
Phyllocladus hypophyllus - вид с островов Юго-Восточной Азии. Филлокладии – это побеги. Вполне естественно, что генеративные органы возникают на филлокладиях. В данном случае, это мегастробилы (ссылка на источник фотографии)
Древесина некоторых филлокладусов используется для хозяйственных целей. Их кора содержит танины и красящие вещества. Но основное значение для человека несомненно имеет декоративность этих замечательных растений. Правда, филлокладусы плохо переносят резкие колебания погоды. Но их охотно разводят в оранжереях, а в открытом грунте выращивают лишь в странах с мягким морским климатом - из европейских стран, например в Англии и Ирландии. Самый морозоустойчивый из филлокладусов – это, конечно, филлокладус альпийский (P. alpinus) из Новой Зеландии. Вид встречается по всему лесному поясу, а также в субальпийском и даже альпийском поясах. Обычно это небольшое деревце (до 2-3 метров), в верхней части высотного профиля принимающее стелющуюся форму. Именно у этого растения ярко-красные шишки располагаются у основания филлокладиев по их краям. Они несут 2-4 семязачатка, из которых развивается только 1-2 семени. Увы, даже этот самый зимостойкий вид устойчив лишь зоне 8 и выше.
Phyllocladus alpinus в субальпийском поясе новой Зеландии. Выглядит как кустовидное деревце высотой 2, шириной 4 м (ссылка на источник фотографии)
Автор С.Н.Горошкевич